Villa a schiera in vendita

Poviglio, Via Meletole
€ 278.000
5 locali 5 locali
200 Mq 200 Mq
2 bagni 2 bagni

Villa a schiera in vendita

Poviglio, Via Meletole

Descrizione annuncio

POVIGLIO- IN RESIDENCE ESCLUSIVO PROPONIAMO VILLETTA ABBINATA AD ANGOLO CON GIARDINO PRIVATO SU TRE LATI.

COME NUOVA.

L'immobile è del 2002 ed è un oggetto davvero interessante, complice il giardino che circonda tutta l'abitazione.

La casa gode di una tripla esposizione sud-est-ovest e si estende su soli due livelli, tutti ben organizzati e serviti ognuno da un servizio dedicato.

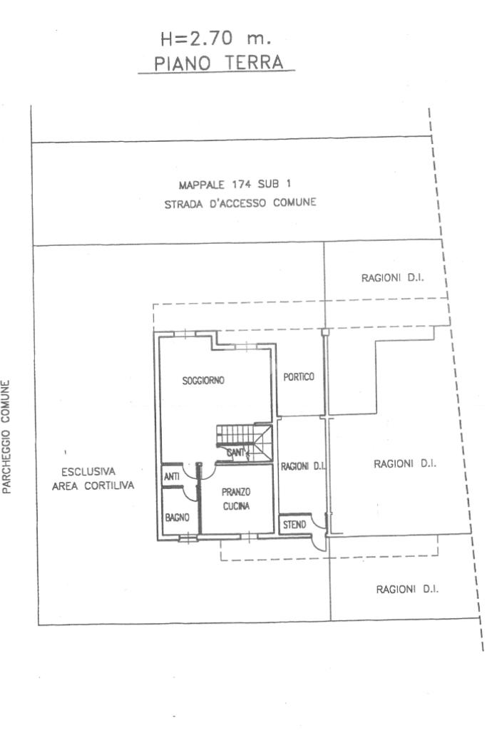
Al piano terra troviamo l'ingresso che da sul soggiorno doppio con camino completamente rievestito in mattoni faccia a vista, vi è la cucina separata ed abitabile, il primo bagno con doccia e la cantina nel sottoscala.

Sempre al piano terra e collegati tramite il portico all'abitazione troviamo il garage e la lavanderia.

Dal soggiorno, dalla cucina, dalla lavanderia e dal garage si esce sempre sul giardino che sul retro è coperto da una pergola in legno ideale per poter fare pranzi e cene all'aperto.

Nella parte laterale del giardino come vedrete dalla foto è presente la piscina.

Attraverso la scala interna raggiungiamo il livello superiore dove troviamo la zona notte, nello specifico tre camere, due matrimoniali e una doppia, due balconi ed un secondo bagno con doccia appena rifatto.

Il sottotetto è raggiungibile tramite una botola interna.

Accessoriato di aria condizionata, zanzariere, inferriate, allarme, camino, videocitofono, PANNELLI FOTOVOLTAICI.

PER MAGGIORI INFORMAZIONI O FISSARE UN APPUNTAMENTO CHIAMACI AL 0522.1963669

Mostra tutto

Nelle vicinanze

Trasporto pubblico Trasporto pubblico
Trasporto pubblico
660 m
Ricariche auto elettriche Ricariche auto elettriche
EnelX Poviglio
830 m
Scuole Scuole
Scuole
890 m
Farmacia Farmacia
Parafarmacia Conad
630 m
Farmacia
750 m
Supermercati Supermercati
Conad
620 m
Negozi Negozi
Negozi
860 m
Bar Bar
Bar
870 m
Circolo Arci Kaleidos
1,2 Km
Ristoranti Ristoranti
Ristoranti
650 m
Mostra tutto

Caratteristiche

Rif.:
61129641
Piano:
2 di 2 (Piano su più livelli)
Box:
1
Posti auto:
2
Balconi:
2
Camere da letto:
3
Mostra tutto
Prezzo Prezzo
€ 278.000
Rata mutuo Rata mutuo
€ 1.281 / mese
Spese annue Spese annue
€ 0
Proponi il tuo prezzoProponi il tuo prezzo

Classe Energetica

E
E
E
E
E
E
E
E
E
EP globale non rinnovabile:
145.00 kW h/m² anno
EP globale rinnovabile:
145.00 kW h/m² anno
EP invernale del fabbricato:
EP estiva del fabbricato:
Anno di costruzione:
2002
Riscaldamento:
Autonomo
Tipo impianto:
A radiatori
Tipo alimentazione:
Metano

Ti interessa visionare l'immobile?

Fissa un appuntamento  Fissa un appuntamento

Richiedi informazioni

* Questi campi sono obbligatori

Calcola il tuo mutuo

Semplice e senza impegno
Anticipo

( % )
Mutuo

( % )

pochi semplici passi

inserisci i tuoi dati
Questionario completato
Grazie per aver richiesto un appuntamento senza impegno con un nostro Consulente del Credito e Assicurativo.

Hai inserito correttamente tutti i dati necessari e a breve riceverai una e-mail con un link da convalidare per inviare i tuoi dati.
Affiliato
Immobiliare Omega Srl
Via XXV Aprile, 17 42024 Castelnovo Di Sotto (RE)

Il nostro staff


  • Fabio Valentini
    Affiliato

  • Sofia Carraro
    Collaboratrice

  • Piero Ruffino
    Affiliato
Via XXV Aprile, 17 42024 Castelnovo Di Sotto (RE)
Zona: Castelnovo di Sotto-Poviglio-Campegine-Gattatico
Mostra su mappa
Orari: Dal lunedì al venerdì dalle ore 9 alle ore 13 e dalle ore 15 alle ore 20. Sabato dalle ore 9 alle ore 13 e dalle ore 15 alle ore 18
Affiliato
Immobiliare Omega Srl
Via XXV Aprile, 17 42024 Castelnovo Di Sotto (RE)

2025 Tecnocasa Franchising S.p.A. - P. IVA 08365160152 - Via Monte Bianco 60/A 20089 Rozzano (MI). Ogni agenzia ha un proprio titolare ed è autonoma. Privacy policy | Policy utilizzo | Cookie policy